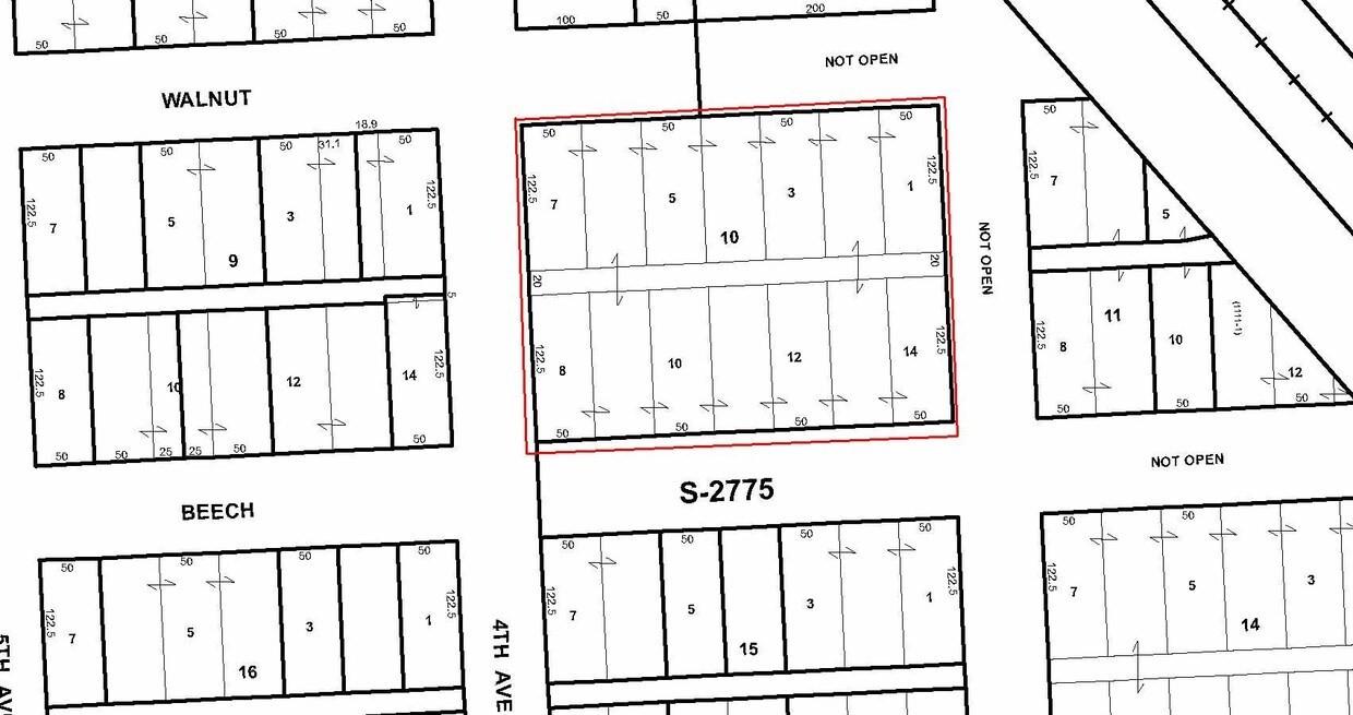
2450 4th AvenueLa Marque, TX77568
Due to the health concerns created by Coronavirus we are offering personal 1-1 online video walkthough tours where possible.




Great opportunity in La Marque! 2.129 acres unimproved parcel of property near Highway 3 within La Marque city limits. Property has a subdivision legal description and appears to be zoned commercial, offering flexibility for future development. It is a unique transitional site between residential and commercial areas. Excellent visibility and access. Strong location at the corner of Hwy 3 and the future Walnut extension, with convenient access to local services, and residential areas. This property gives the buyer a great opportunity for development or investment. Buyer to verify all zoning, permitted uses, utilities, and all development requirements with the City of La Marque. There will be 1.44 acres [between Hwy 3, Main St (FM-519) and 4th Ave] available once it is thru Probate Court.
| 3 days ago | Listing updated with changes from the MLS® | |
| 3 days ago | Status changed to Active Under Contract | |
| 7 months ago | Listing first seen on site |
IDX information is provided exclusively for consumers’ personal, non-commercial use. It may not be used for any purpose other than to identify prospective properties consumers may be interested in purchasing. This data is deemed reliable but is not guaranteed accurate by the MLS.
Data provided by HAR.com © 2026. All information provided should be independently verified.

Did you know? You can invite friends and family to your search. They can join your search, rate and discuss listings with you.